1: 釣りまとめ速報 20/10/12(月)16:07:32 ID:HoU
月曜恒例の海釣り実況、今日も岩手でやっていくで!
現地は生憎の雨模様…
しかしワイの釣りたいアナゴは少し濁ってるくらいのほうがいいらしいので、この雨がプラスに働くことに期待したい
●雑談・質問OK
●釣り実況・釣果報告歓迎
●釣り実況のスレを立てた際の誘導リンク歓迎
●主含めて実況民たちが自分の釣行地域を判別し易いようにコテを付けていますが、コテは必須ではございませんので名無しでお気軽にいらしてください

現地は生憎の雨模様…
しかしワイの釣りたいアナゴは少し濁ってるくらいのほうがいいらしいので、この雨がプラスに働くことに期待したい
●雑談・質問OK
●釣り実況・釣果報告歓迎
●釣り実況のスレを立てた際の誘導リンク歓迎
●主含めて実況民たちが自分の釣行地域を判別し易いようにコテを付けていますが、コテは必須ではございませんので名無しでお気軽にいらしてください

★オススメ記事★
4: 釣りまとめ速報 20/10/12(月)16:10:03 ID:QPZ
不安定やし悪天には気を付けるんやで
6: 釣りまとめ速報 20/10/12(月)16:11:08 ID:HoU
>>4
サンガツ
雨はともかく波は全くないやで
サンガツ
雨はともかく波は全くないやで
5: 釣りまとめ速報 20/10/12(月)16:10:32 ID:HoU
7: 釣りまとめ速報 20/10/12(月)16:11:13 ID:n0y
がんばえー
8: 釣りまとめ速報 20/10/12(月)16:29:44 ID:n0y
カレイはイソメちょんがけなんやねえ
9: 釣りまとめ速報 20/10/12(月)16:36:12 ID:HoU
>>8
端っこからちゅるちゅる吸ってくれるで!
端っこからちゅるちゅる吸ってくれるで!
11: 釣りまとめ速報 20/10/12(月)16:38:48 ID:HoU
鈴なった
12: 釣りまとめ速報 20/10/12(月)16:39:22 ID:HoU
付いてる
15: 釣りまとめ速報 20/10/12(月)16:41:38 ID:HoU
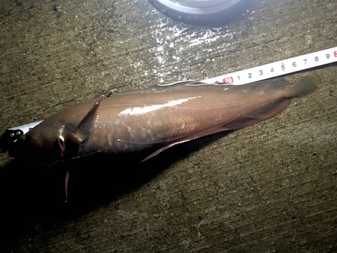
16: 釣りまとめ速報 20/10/12(月)16:43:10 ID:n0y
>>15
キターーーーー!!!!
なんや!何カレイや!!?
キターーーーー!!!!
なんや!何カレイや!!?
17: 釣りまとめ速報 20/10/12(月)16:44:50 ID:HoU
18: 釣りまとめ速報 20/10/12(月)16:45:12 ID:c1K
>>17
おおおおおおお!!!
食えるやん!寄せ餌効果!?
おおおおおおお!!!
食えるやん!寄せ餌効果!?
19: 釣りまとめ速報 20/10/12(月)16:50:19 ID:HoU
>>18
オモリと針だけのシンプル仕掛けです(白目)
オモリと針だけのシンプル仕掛けです(白目)
42: 釣りまとめ速報 20/10/12(月)18:33:57 ID:5cY
>>17
サクッと釣ってるし
エビパワーなのかそうなのか!?
サクッと釣ってるし
エビパワーなのかそうなのか!?
22: 釣りまとめ速報 20/10/12(月)17:03:31 ID:HoU
24: 釣りまとめ速報 20/10/12(月)17:06:32 ID:HoU
29: 釣りまとめ速報 20/10/12(月)17:47:39 ID:HoU
31: 釣りまとめ速報 20/10/12(月)17:56:07 ID:htW
>>29
ドラゴンアナゴ期待
ドラゴンアナゴ期待
37: 釣りまとめ速報 20/10/12(月)18:18:08 ID:HoU
40: 釣りまとめ速報 20/10/12(月)18:21:26 ID:htW
>>37
これはドンコってやつ?
これはドンコってやつ?
44: 釣りまとめ速報 20/10/12(月)18:48:04 ID:HoU
>>40
それそれ、まあ美味いけどワイはいいや
それそれ、まあ美味いけどワイはいいや
38: 釣りまとめ速報 20/10/12(月)18:19:19 ID:HoU
39: 釣りまとめ速報 20/10/12(月)18:20:21 ID:2wz
>>38
でかい
どぶ汁待ったなし
でかい
どぶ汁待ったなし
44: 釣りまとめ速報 20/10/12(月)18:48:04 ID:HoU
>>39
カレイ釣れたからドンコはリリース!
カレイ釣れたからドンコはリリース!
41: 釣りまとめ速報 20/10/12(月)18:21:38 ID:c1K
>>38
ビッグドンコわろた
ビッグドンコわろた
44: 釣りまとめ速報 20/10/12(月)18:48:04 ID:HoU
>>41
すげー鈴なったから絶対アナゴ喰いこんだと思ったわ
すげー鈴なったから絶対アナゴ喰いこんだと思ったわ
46: 釣りまとめ速報 20/10/12(月)18:52:05 ID:HoU
そうそう、今日はエサに解凍サンマ使っとる
おててくっさいくっさいなの
おててくっさいくっさいなの
48: 釣りまとめ速報 20/10/12(月)18:54:48 ID:c1K
>>46
めずらすぃ、今日イソメニキなしなん?
めずらすぃ、今日イソメニキなしなん?
55: 釣りまとめ速報 20/10/12(月)19:09:12 ID:HoU
>>48
いや買ってはきてる
ていうかアタリがないからイソメに付け替えた
いや買ってはきてる
ていうかアタリがないからイソメに付け替えた
47: 釣りまとめ速報 20/10/12(月)18:54:07 ID:HoU
56: 釣りまとめ速報 20/10/12(月)19:09:32 ID:HoU
めっちゃ雨強い
57: 釣りまとめ速報 20/10/12(月)19:18:43 ID:HoU
66: 釣りまとめ速報 20/10/12(月)19:56:55 ID:HoU
いまエサ取り替えようとして三本とも回収してみたら、、
67: 釣りまとめ速報 20/10/12(月)19:57:37 ID:HoU
70: 釣りまとめ速報 20/10/12(月)19:58:39 ID:HoU
71: 釣りまとめ速報 20/10/12(月)20:02:32 ID:HoU
81: 釣りまとめ速報 20/10/12(月)20:22:57 ID:htW
>>71
前にスーパーで売ってたクロソイを鍋で食ったが最高やったわ
ほんまうらやま
前にスーパーで売ってたクロソイを鍋で食ったが最高やったわ
ほんまうらやま
87: 釣りまとめ速報 20/10/12(月)20:29:06 ID:HoU
>>81
クロソイはいい意味でも悪い意味でも魚くさい
クロソイはいい意味でも悪い意味でも魚くさい
72: 釣りまとめ速報 20/10/12(月)20:03:16 ID:HoU
全 部 ア ナ ゴ じ ゃ な い
73: 釣りまとめ速報 20/10/12(月)20:07:52 ID:c1K
全部釣れててサイズもそこそこやん、クロソイあたり食べれんのかな?
76: 釣りまとめ速報 20/10/12(月)20:16:10 ID:HoU
>>73
ワイ的にはカレイは30から、ソイは28からが持ち帰りサイズや
ワイ的にはカレイは30から、ソイは28からが持ち帰りサイズや
80: 釣りまとめ速報 20/10/12(月)20:21:29 ID:c1K
>>76
うおー、もったいなす、ワイだと全部持って帰ってそう
うおー、もったいなす、ワイだと全部持って帰ってそう
74: 釣りまとめ速報 20/10/12(月)20:13:01 ID:5cY
ええやん
クロソイとカレイうらやま
クロソイとカレイうらやま
75: 釣りまとめ速報 20/10/12(月)20:15:10 ID:c1K
>>74
ドンコさん「・・・・・・」
ドンコさん「・・・・・・」
76: 釣りまとめ速報 20/10/12(月)20:16:10 ID:HoU
>>74
すべてリリースや!ワイはアナゴが食べたいんじゃ
すべてリリースや!ワイはアナゴが食べたいんじゃ
80: 釣りまとめ速報 20/10/12(月)20:21:29 ID:c1K
>>76
うおー、もったいなす、ワイだと全部持って帰ってそう
うおー、もったいなす、ワイだと全部持って帰ってそう
77: 釣りまとめ速報 20/10/12(月)20:16:37 ID:HoU
あと雨ほぼ止んだ
79: 釣りまとめ速報 20/10/12(月)20:17:40 ID:HoU
お、遠投竿ちょっと当たってる
85: 釣りまとめ速報 20/10/12(月)20:28:03 ID:HoU
86: 釣りまとめ速報 20/10/12(月)20:28:47 ID:c1K
>>85
ドンコ祭りすげぇな、ドンコといえどもそんだけあれば結構引くんじゃない?
ドンコ祭りすげぇな、ドンコといえどもそんだけあれば結構引くんじゃない?
88: 釣りまとめ速報 20/10/12(月)20:29:54 ID:HoU
>>86
いやまったくや
最初だけ暴れたらすぐ諦めてズルーっとついてくる
いやまったくや
最初だけ暴れたらすぐ諦めてズルーっとついてくる
89: 釣りまとめ速報 20/10/12(月)20:39:15 ID:HoU
なんか小突かれてるなあと思って回収してみたら、コマセカゴの中に入れてたサンマのアラを全部食われとった
これはアナゴの仕業やろ!
これはアナゴの仕業やろ!
93: 釣りまとめ速報 20/10/12(月)21:03:24 ID:HoU
ケミが動いてますねえ…
94: 釣りまとめ速報 20/10/12(月)21:05:04 ID:HoU
はいきた
95: 釣りまとめ速報 20/10/12(月)21:13:20 ID:HoU
96: 釣りまとめ速報 20/10/12(月)21:17:46 ID:HoU
98: 釣りまとめ速報 20/10/12(月)21:18:55 ID:c1K
>>96
キターーーーー
自作まな板が活躍する日がきましたな
キターーーーー
自作まな板が活躍する日がきましたな
99: 釣りまとめ速報 20/10/12(月)21:19:28 ID:HoU
>>98
そうだった!!存在忘れてた!!
そうだった!!存在忘れてた!!
101: 釣りまとめ速報 20/10/12(月)21:21:39 ID:HoU
>>98
自作っつーかホムセンのただの板切れだけどね!
自作っつーかホムセンのただの板切れだけどね!
97: 釣りまとめ速報 20/10/12(月)21:18:25 ID:HoU
100: 釣りまとめ速報 20/10/12(月)21:19:41 ID:OR3
>>97
うおおおおおおおおおおおおお
アナゴ神バンザイ!アナゴ神バンザイ!
うおおおおおおおおおおおおお
アナゴ神バンザイ!アナゴ神バンザイ!
103: 釣りまとめ速報 20/10/12(月)21:23:06 ID:HoU
釣り人のみんな!オラに力を分けてくれてありがとおおおお!!!
110: 釣りまとめ速報 20/10/12(月)21:40:38 ID:HoU
これで今季4本目、暫定3位や!
111: 釣りまとめ速報 20/10/12(月)21:40:54 ID:DCF
はぁー…マジかー…
ワイのアベレージの倍かー…
誰か力くんねえかな
ワイのアベレージの倍かー…
誰か力くんねえかな
123: 釣りまとめ速報 20/10/12(月)22:03:40 ID:2wz
寝てる間にアナゴ神来てて草
124: 釣りまとめ速報 20/10/12(月)22:07:55 ID:HoU
>>123
やってやったぜ!ただ相変わらず数が釣れない!
やってやったぜ!ただ相変わらず数が釣れない!
126: 釣りまとめ速報 20/10/12(月)22:25:54 ID:HoU
鈴!
127: 釣りまとめ速報 20/10/12(月)22:27:08 ID:HoU
さっきよりやばい!
128: 釣りまとめ速報 20/10/12(月)22:33:55 ID:HoU
129: 釣りまとめ速報 20/10/12(月)22:34:27 ID:4cQ
でけえええええええ!
130: 釣りまとめ速報 20/10/12(月)22:35:31 ID:2wz
アナゴ神きてたー!
132: 釣りまとめ速報 20/10/12(月)22:42:24 ID:HoU
133: 釣りまとめ速報 20/10/12(月)22:43:02 ID:c1K
>>132
今日は大爆発しとるなぁ
おめでとうやで!
今日は大爆発しとるなぁ
おめでとうやで!
135: 釣りまとめ速報 20/10/12(月)22:48:11 ID:HoU
>>133
いやー、これはマンモスうれピーですよ!
いやー、これはマンモスうれピーですよ!
134: 釣りまとめ速報 20/10/12(月)22:45:29 ID:2wz
なにげに初のアナゴ複数釣果やないか?
135: 釣りまとめ速報 20/10/12(月)22:48:11 ID:HoU
>>134
今年はね!
去年はなんも分からず夜にイソメ投げてたら1日に3匹釣れた
今年はね!
去年はなんも分からず夜にイソメ投げてたら1日に3匹釣れた
142: 釣りまとめ速報 20/10/12(月)22:57:05 ID:MCS
アナゴ神すげえな
144: 釣りまとめ速報 20/10/12(月)23:04:53 ID:HoU
>>142
今日は神が力を貸してくれたわ
サンキューカッミ!
今日は神が力を貸してくれたわ
サンキューカッミ!
145: 釣りまとめ速報 20/10/12(月)23:05:25 ID:HoU
23時、そろそろ潮時やね
今日はしゅーりょー!
今日はしゅーりょー!
147: 釣りまとめ速報 20/10/12(月)23:17:54 ID:2wz
>>145
おつやで!
おつやで!
148: 釣りまとめ速報 20/10/12(月)23:28:46 ID:HoU
152: 釣りまとめ速報 20/10/13(火)00:11:45 ID:tyI
>>148
短時間で効率的に大物釣ったな!さすがや
気をつけて帰ってな
短時間で効率的に大物釣ったな!さすがや
気をつけて帰ってな
146: 釣りまとめ速報 20/10/12(月)23:08:12 ID:MCS
おつおつ
お持ち帰りはカレイ含めて3匹?
お持ち帰りはカレイ含めて3匹?
149: 釣りまとめ速報 20/10/12(月)23:30:43 ID:HoU
ワイは今日は満足じゃ
それでも帰りの2時間運転きっつぅ~
それでも帰りの2時間運転きっつぅ~
150: 釣りまとめ速報 20/10/12(月)23:57:50 ID:b3m
>>149
お家に帰るまでが釣行です!
気をつけてー
お家に帰るまでが釣行です!
気をつけてー
151: 釣りまとめ速報 20/10/13(火)00:04:51 ID:7XU
>>150
急ぐ旅路でもなし、ゆっくり帰るやで~
急ぐ旅路でもなし、ゆっくり帰るやで~
オススメ記事






















コメント
水バケツをオモリにできるようにSカンと
穴子釣りたい
これしかもクロアナゴじゃなくてマアナゴだろ?オレの地域では精々60cmくらいだわ
自分も60cmの穴子釣った事有るけど太さにびびった。
シーバス釣ろう!!
コメントする